ELITE UAS TEST & TRAINING FACILITY
MultiDomain Autonomous Systems CoE
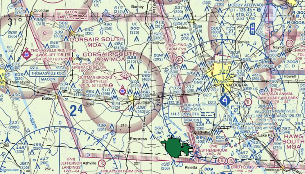
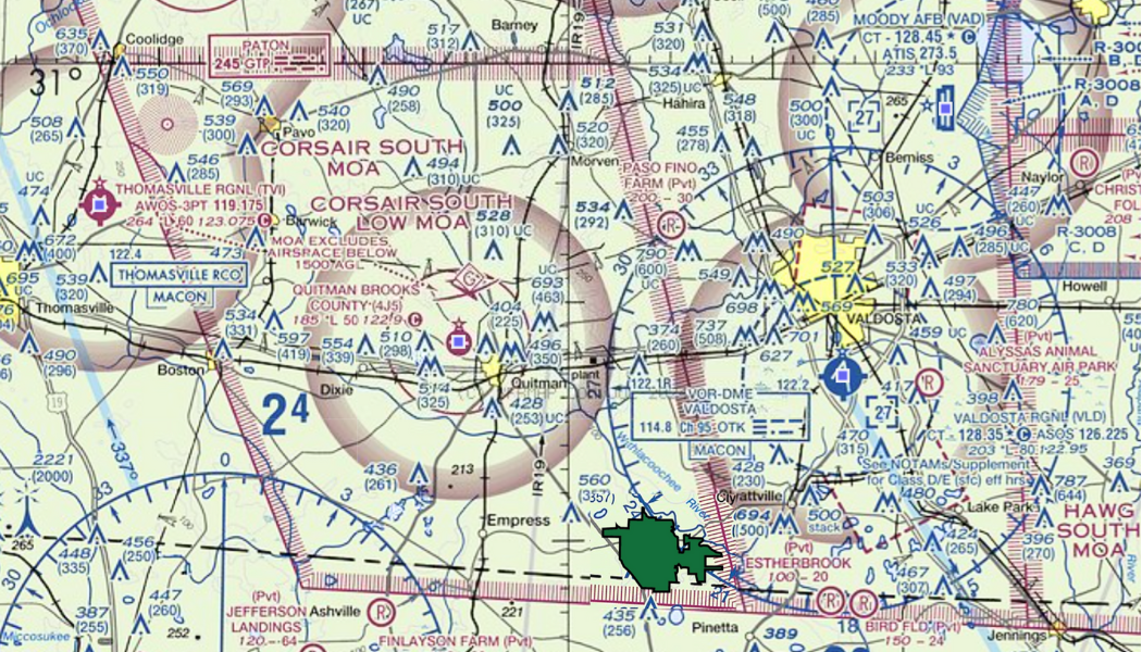
COA Approved Air Operations | Moody MOA | 8,000 Private Acres
INTEGRATED
Test, Development & Repair
Integrated training, test and evaluation environment where teams can validate, iterate, repair, and execute in one place.

By far the best location we have operated from for our training. Long, hard days and nights in austere terrain, then a comfortable place to refuel and recharge for the next evolution. The lodging is dialed in, and the meals are out of this world. That recovery directly impacts performance and training effectiveness.
- Tactical Drone Operator Course Chief












